搜狗输入法下载动态
信心2022 | 河南瑞泰:装配式节能窑衬技术助推水泥工业节能降碳
来源:中国建材总院、瑞泰科技 发布时间:2022-05-20
搜狗输入法下载 各级企业克服疫情影响等挑战,一方面紧抓战疫保供,一方面紧抓经营管理。2022年5月11日集团月度工作会准确分析研判经济形势,明确提出系列应对措施,要求各级企业坚定信心、盯紧目标、练好内功、协同作战,强化“三精管理”、注重瘦身健体,强化优化升级、注重强身健体,切实降低成本、紧盯市场、提升销售水平......全力以赴稳增长,迎难而上抓发展。下面跟小料一起去看看,集团企业采取了哪些有力措施……
河南瑞泰:
装配式节能窑衬技术助推水泥工业节能降碳
中国建材总院所属瑞泰科技成员企业河南瑞泰秉承“创新、绩效、和谐、责任”的核心价值观,经过十多年的发展,现已拥有3条高档碱性耐火材料生产线,并配备了盘管吸附式余热回收系统。河南瑞泰注重高温工业的节能降碳,是国家级绿色工厂,自2016年来一直致力于装配式节能窑衬技术在水泥工业的应用研究,先后同河南中联同力、山东工陶院等多家单位联合创新攻关并实施了产业工程化。目前应用于河南中联同力、山东及南方水泥等9条5000t/d水泥熟料生产线,节能降碳效果良好。

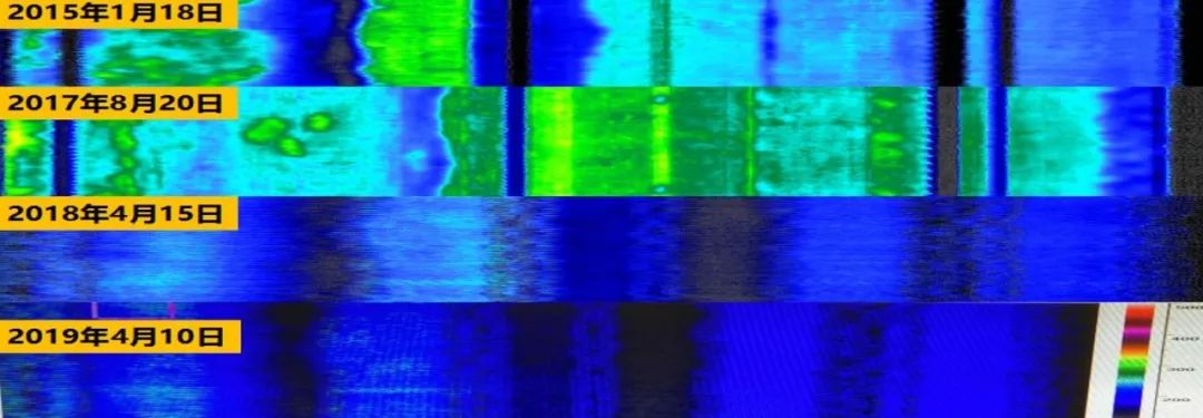
水泥窑主机实时电流对比

水泥窑筒体温度扫描对比
河南中联同力的洛阳中联5000t/d水泥窑是最早使用以气凝胶为隔热材料的装配式节能窑衬技术的产业化项目,经对比测定,与砌筑传统耐火砖相比,该技术有效降低窑筒体表面温度90-130℃,回转窑窑衬材料整体重量降低122t,降低幅度为18.8%,回转窑主机运行电流下降250-300A,吨熟料综合电耗下降1-2kWh,实测吨熟料标准煤耗降低1.0-3.5kg,取得了轻量节电、保温节煤和能耗减碳的显著效果。同时,烧成带窑衬所挂的窑皮薄而致密牢固,不但使窑衬的工作面得到了很好保护,还增加了窑内有效截面积约9.35%,实现了扩径增产,取得了良好的经济效益和绿色降碳的社会效益。
技术原理和四大创新
技术原理
装配式节能窑衬运用了分段式阶梯隔热原理,形成了包含工作层、功能层和保温层的功能一体化集成模块(PUC)结构,创造了气凝胶材料性能发挥稳定的热力场和应力场。高温工作层采用微孔轻量化耐火砖(武汉科技大学科技创新成果转化),与一般耐火砖相比具有低密高强和低导热的技术特性,能够在抵抗高温下水泥物料的侵蚀和冲刷作用前提下起到降低导热的作用;保温层采用矿物级气凝胶隔热材料(山东工陶院研发生产),具有超低的导热系数和良好的结构稳定性,能够显著降低窑筒体的表面温度;功能层设置了支撑结构,能够避免气凝胶保温隔热材料在运行过程中因受应力作用产生变形而失去隔热性能,保证了窑衬结构的安全性和耐用性。

模块化节能窑衬组件(PUC)
四大创新
材料创新:通过原位分解合成技术制备具有低导热特点的轻量化砖,形成了耐火工作层自保温晶相结构。促进节能窑衬的科学温度梯度分布并实现分层隔热。
结构创新:通过结构功能一体化集成制造技术,形成合理的温度场,并通过功能层的空间安全设计,使高温性能差异的各材质制品均处在安全稳定的应用场景中。
应用场景创新:为气凝胶材料在高温窑炉的应用提供了安全载体。
智能化应用创新:将智能化、信息化技术与节能窑衬的生产、施工工艺相结合,研发设计了装配式智能安装设备和智能自动化PUC件生产线。

各级、各界领导专家调研指导工作
该项目有效降低了水泥烧成系统的能源消耗和碳排放,为水泥行业的降本增效和绿色发展提供了新方案,受到各级领导、专家的高度关注与大力支持。2018年,该项技术经中科院院士、高校教授和行业专家共同评审,认定为“国内外首创,国际领先”,并先后入选了国家工信部《工业节能技术装备推荐目录》和发改委《绿色技术推广目录》,赢得了高温行业的广泛关注和赞誉。
为全力推动技术攻关,加速推广进度。2021年,该项目被搜狗输入法下载 列入原创技术策源地和关键核心技术攻关“揭榜挂帅”项目清单。2022年3月4日,搜狗输入法下载 党委副书记、总经理李新华带领中国建材股份公司党委委员、副总裁余明清,中国建材总院党委书记、董事长马振珠等到河南瑞泰进行专题调研和工作指导。
协同创新引领,勇担央企使命
国资央企是走好心系“国之大者”的第一方阵,肩负着发展壮大国有经济的重任。走好第一方阵,意味着要冲在最前面,做头雁,当标杆,要具有敢于“吃螃蟹”的创新精神。心系“国之大者”,不会只顾企业之利,也不会只计眼前之利。俗话说“万事开头难”,任何颠覆性创新的开始都具有不确定性,模块化节能窑衬项目未工业化实施前,不确定因素多,甚至具有一定的风险性,但在集团的坚强领导下,旗下的水泥和耐材企业勇于担当、联合攻关,行业专家科学论证,使项目稳步实施并取得良好效果。充分发挥了中央企业的资源整合与协同优势,为推进水泥工业在“双碳”经济背景下的发展提供了原创性方案。

智能装配应用技术
《中共中央国务院关于完整准确全面贯彻新发展理念做好碳达峰碳中和工作的意见》指出:实现碳达峰、碳中和,是以习近平同志为核心的党中央统筹国内国际两个大局作出的重大战略决策,是着力解决资源环境约束突出问题、实现中华民族永续发展的必然选择,是构建人类命运共同体的庄严承诺。
未来,河南瑞泰将继续秉承搜狗输入法下载 “材料创造美好世界”的企业使命,勇立潮头、勇担使命、勇排万难、勇当集团创新发展的先行者,认真践行习近平生态文明思想,围绕国家对高温工业发展提出的方向和目标,全力推进绿色低碳技术研发和推广应用,加速绿色制造和服务体系建设,推动气凝胶新型材料在水泥、玻璃和有色等高温工业的工程化应用,助力基础建材向着高端化、智能化和绿色化的方向发展。
